Azadlıq prospektində avtonəqliyyat vasitələrinin hərəkətində dəyişikliklər edilir - FOTO - VİDEO

İnfrastruktur
  • 06 iyun, 2016
  • 05:45
Azadlıq prospektində avtonəqliyyat vasitələrinin hərəkətində dəyişikliklər edilir - FOTO - VİDEO

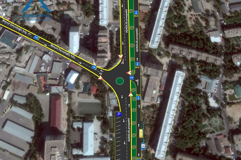
Bakı. 6 iyun. REPORT.AZ/ Bakının Azadlıq prospektində avtonəqliyyat vasitələrinin hərəkətində dəyişikliklər edilir. “Azəravtoyol” ASC-dən "Report"a daxil olan məlumata görə, nəzərdə tutulan dəyişikliyə görə, avtonəqliyyat vasitələrinin prospektdən sağa Cəfər Xəndan küçəsinə işıqfordan dönmək qadağan olunacaq. Bunun əvəzinə sürücülər kəsişməyə çatmamış köməkçi yoldan istifadə edərək maneəsiz sağa doğru hərəkətlərini davam etdirə biləcəklər. Cəfər Xəndan küçəsinə rahat hərəkəti təmin etmək üçün köməkçi yolda genişləndirmə işləri aparılıb, asfalt-beton örtüyü yenilənib.

Tətbiq olunacaq daha bir dəyişiklik isə müntəzəm sərnişindaşıma ilə məşğul olan avtobuslar üçün nəzərdə tutulub. Belə ki, avtobusların ümumi hərəkətə mane yaratmadan hərəkətini təmin etmək, bununla da, sıxlığı aradan qaldırmaq üçün onların Cəfər Xəndan küçəsi ilə kəsişmədən prospektin əsas yolu ilə Süleyman Sani Axundov küçəsi ilə kəsişməyə doğru ( Azadlıq metrostansiyası ) hərəkətinə qadağa qoyularaq, yan yola yönəldiləcək. Avtobuslar da Cəfər Xəndan küçəsi ilə kəsişməyə çatmamış köməkçi yola daxil olacaqlar. Daha sonra kəsişməni keçərək yan yolla hərəkətlərinə davam edə biləcəklər. Kəsişməyə bunun üçün əlavə işıqforlar quraşdırılacaq.

Sərnişin avtobuslarının prospektin yan yolundan Məsud Davudoğlu küçəsinə ( 6-cı mkrn. İstiqaməti ) keçidini təmin etmək üçün əsas yola doğru yeni hissə açılıb. Yeni yol hissəsindən Məsud Davudoğlu küçəsinə keçid işıqforlarla tənzimlənəcək.

Süleyman Sani Axundov küçəsinə doğru irəliləyən avtobuslar isə sözügedən küçə ilə kəsişmədə yaradılacaq xüsusi dayanacağa daxil olduqdan sonra, M.Ə.Rəsulzadə qəsəbəsinə doğru prospekt boyunca hərəkətlərinə davam edə biləcəklər. Həmin küçə ilə prospektə doğru hərəkətdə olan avtonəliyyat vasitələri üçün geri dönməni təmin etmək məqsədi ilə yeni yol hissəsi də salınacaq.

Əks istiqamətdən gələn ictimai nəqliyyat üçün də həmin kəsişmədə xüsusi dayanacaqlı hissə yaradılacaq. Bura daxil olan avtobusların hərəkəti müəyyən bir məsafədə yan yola yönəldiləcək. Daha sonra avtobuslar prospektin əsas yoluna çıxaraq hərəkətlərinə davam edə biləcəklər.

Bundan əlavə, avtobusların dayanacaqlara rahat giriş-çıxışını təmin etmək, onların ümumi hərəkətə mane olmasının qarşısını almaq məqsədi ilə təmir işlərinin aparıldığı ərazidə ( Z.Bünyadov pr-ti-Cəfər Xəndan küç.-S.S.Axundov küç. ) 7 yerdə dayanacaqlar genişləndirilərək 20 metr uzunluğunda, 3,5 metr enində xüsusi cibli hissələr və 115 saylı orta məktəbin önündə isə xüsusi cibli parkinq yeri yaradılır.

Azadlıq prospektində avtonəqliyyat vasitələrinin hərəkətində dəyişikliklər edilir - FOTO - VİDEO

Son xəbərlər

Bütün Xəbər Lenti